Donning a weathered diving mask, Manuel Gamboa comes ashore after four hours in the sea, visibly weary from the early morning catch with a dozen young Timorese fishers.
“Once, we grappled with dwindling fish stocks due to rampant overfishing in our waters,” the elder reflects, his words parsing through the hubbub of villagers assembled at Beloi Beach to claim their share of the bounty.
"However, since implementing tara bandu, the fish population on Atauro has made a remarkable recovery." He seemed content with the day's haul.
Tara bandu is a traditional custom of resource management and social governance practiced by the indigenous communities in Timor-Leste, a tiny Southeast Asian nation that gained independence in 2002 after years of struggle against Indonesian occupation.
The country's underdevelopment, combined with its ideal location and traditional conservation methods, plays a significant role in the protection of coral reefs and marine ecosystems around Atauro Island, situated 36 kilometers (22 miles) from the bustling capital of Dili.

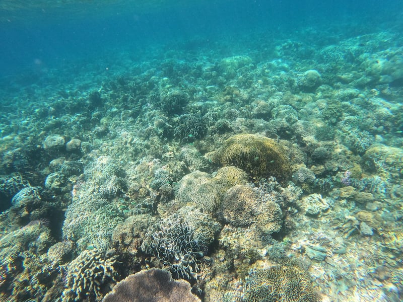
In 2016, a study by researchers from Conservation International found that the coral reefs surrounding Atauro have the world’s highest average diversity of reef fish species, earning them the title “most biodiverse.”
Soon after, the island implemented tara bandu – outlawed during Jakarta's rule – to protect local marine species, address food security and promote sustainable eco-tourism, and the reefs and fish diversity have improved even more.
Under tara bandu, the community comes together to discuss and agree upon rules and regulations related to the use of local resources, like forests, water or farmland.
Once the rules are established, a public ceremony is held where the rules are announced and symbolic items, such as palm leaves or woven ropes, are displayed to mark the boundaries.

Joas Martins, a tara bandu team member in Beloi, explains the term in the local Tetum language means "hanging" and "prohibition."
“It is to safeguard land and nature,” he said, adding violators would be punished, not by hanging anymore but with penalties in cash or consumables.
Now, 13 locally managed marine protected areas are on the island, including no-take zones and specific regulations, like minimum catch size. A US$2 tourist fee has generated sizable income for local village councils.
Never seen such biodiversity
Timor-Leste is in the Coral Triangle, known for its rich biodiversity, including 76% of global coral species. It has six of seven marine turtle species and the world’s largest blue whale migration, with frequent sightings of dolphins, dugongs and manta rays near the coast.
Terezinha Teme, 25, is the country’s first female scuba diving instructor. She had never seen the ocean’s wonders until someone approached her in 2018 during a beach cleanup.
“When they took us to the ocean, I was like, ‘Wow, this was just like what I’d seen on TV or in the film ‘Nemo.’ I thought, ‘Is this really my country?’ I had so many questions,” she said. “It was incredible.”

Malaysian diving operator Mufizah “Fizzy” Moslim arrived in Timor-Leste in 2016 and was shocked during her first diving experience near the city.
“The life, the colors, and the number of corals that were so healthy, even in the shallow sections, was quite surprising to me because you don’t get that very much… this close to the human population,” she told Radio Free Asia.
“I felt transported back in time,” she said. “Timor corals are top-notch.”
Kate Barker, a marine biologist and scuba instructor who has been diving around the world for two decades, said Timor-Leste’s reefs are “colorful and thriving… and there are also some huge corals, which means they’ve been growing for a long time without too much interference.”
The shallow reef “seems to thrive within a meter or two from the beach,” she added, while the reefs are full of fish and other marine species, making the ecosystem extremely healthy.
“The intensity of coral coverage in some areas is just insane, like almost 100% covered in hard or soft corals, even in the shallows, which is usually where you see bleaching,” she said. “Here, it’s just vibrant and keeps growing.”
Coral bleaching
Coral reefs provide habitat for over a quarter of the planet’s marine species. However, due to record-high warming sea temperatures, corals have recently bleached worldwide.
Coral bleaching occurs when natural phenomena, such as warming oceans or acidification, harm the microscopic algae inside corals. These algae are essential for providing energy to the corals and giving them their vibrant colors.

But based on scientific findings, mass coral bleaching has never happened in Timor-Leste, said Mario Marques Cabral, a marine scientist who teaches at the National University of Timor-Leste.
In Australia’s Great Barrier Reef, a huge ecosystem off the country’s northeast coast larger than Italy, scientists have reported four mass bleaching events in the past seven years, including during the cooler months of La Nina for the first time in 2022.
A 2019 study found that coral needs 9-12 years to heal from bleaching disturbance. The United Nations has warned that if global temperatures rise by 1.5 degrees Celsius, up to 90% of the world’s coral will die.
Catherine Kim, an Australia-based coral reef restoration and adaptation expert, visited Timor-Leste before and after the last mass global bleaching event in 2016 when one-third of the corals in the Great Barrier Reef died.

“There was some bleaching [in Timor-Leste], but when I came back a year later, I didn’t find a huge decrease in coral,” she told RFA. “There wasn’t this mass mortality that we saw in places like the Great Barrier Reef.”
Moslim, who runs Compass Diving in Dili, also said small-scale bleaching, or short-term bleaching, has happened, but not long enough to die.
“I’m not a marine scientist and have not done an in-depth study of the reefs, but just visibly what we can see is that Timor seems to be a refuge for coral reefs,” she added.
Location, location, location
Dili and Atauro are situated within the Indonesian Throughflow, one of the biggest water movements on the planet that connects the Pacific Ocean to the Indian Ocean. It is crucial in global sea current circulation, influencing climate patterns and marine ecosystems.
“It’s a natural phenomenon,” Cabral said. The “fortunate geographical position” means the movement of cold and warm water keeps the sea temperature relatively tolerable for corals to continue thriving.
“So, this has little to do with political or policy intervention.”
Kim, who teaches at Australia’s Queensland University of Technology, said Timor-Leste’s reefs are “small and narrow” – unlike the shelf for the Great Barrier Reef, which extends hundreds of kilometers.
“The shelf in Timor-Leste is like a kilometer,” she said. “After that, it just goes straight down to thousands of meters.”
“And so in that channel, there is a massive water movement,” she said. “When there’s no circulation, the ocean can get hot. And that’s what corals don’t like, or that causes a lot of bleaching.”
The passage is also 3 kilometers (1.8 miles) deep and facilitates upwelling, the movement of deep, cold, nutrient-rich water to the surface.
“The island’s oceanographic context is very beneficial” for the corals and other marine species, Kim said, adding that upwelling, in general, is a good source of productivity, though too much of nutrients could also be harmful.

“Upwelling is also associated with more acidic waters, which is not good for corals because their skeletons are calcium carbonate, which dissolves, essentially, if the water is too acidic.”
Moslim, the diving operator, said other things may have also contributed.
“There’s no over-tourism, unlike places like Bali or Malaysia,” she added. “That has helped a lot. It’s still such a young nation, so there’s no overdevelopment.”
“I think it’s a mix of serendipity in the sense that it’s just nicely located.”
Plastic waste
Still, plastic waste is threatening Timor-Leste’s coral reefs.
This direct human impact “is destroying corals, and it is more dangerous than climate change,” said Manuel Mendes, the country director for Conservation International. who organizes a beach cleanup every Friday.

Around the world, plastics account for 60-80% of global marine litter. According to researchers, if current trends persist, the oceans may have more plastic than fish by 2050.
Timor-Leste produces 54-68 metric tons of plastic daily, with 81% likely entering the sea due to inadequate waste management and littering.
The waste disposal situation, especially in Dili with a single, unmanaged landfill site, has exacerbated the crisis, posing threats to marine and public health.
Outside the capital, most villagers burn or dump. Barker said that runoff from road construction and slash-and-burn for land clearance pollutes groundwater and coastal ecosystems.

“When you got a high level of sedimentation, the coral starts to get covered with sand or debris, so it can start to suffer. We did see some areas of die-off,” she added.
In Beloi, village elder Gamboa said marine pollution is currently the most significant threat to coral reefs.
“We get plastic and waste from all over the place, especially from Indonesian islands because we are close to some of them,” he added.
"We take it out as much as possible and clean up the beach every Friday. It is also part of tara bandu."
Edited by Malcolm Foster.
